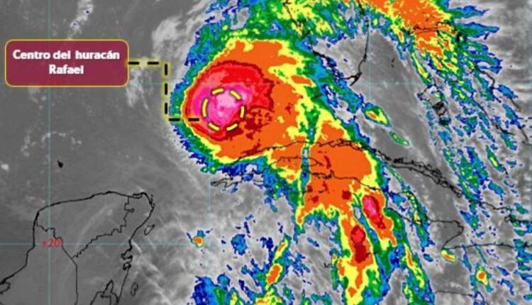
El huracán Rafael se mantiene en categoría 2 en la escala Saffir-Simpson, con su centro localizado al noreste de la península de Yucatán y alejándose gradualmente de Cuba. Este 7 de noviembre, las bandas nubosas de Rafael incrementarán la humedad en la región, provocando lluvias fuertes en Quintana Roo e intervalos de chubascos en Campeche y Yucatán.
El Servicio Meteorológico Nacional (SMN) ha emitido una advertencia para la población en la península de Yucatán, recomendando extremar precauciones ante posibles lluvias intensas, ráfagas de viento y oleaje elevado. Se aconseja atender las indicaciones de Protección Civil en cada estado, especialmente para la navegación marítima.
Trayectoria y pronóstico de debilitamiento
Según el SMN, Rafael se mantendrá en categoría 2 hasta el viernes 8 de noviembre, momento en que se espera que se localice a 325 kilómetros al norte de Río Lagartos, Yucatán. Para el sábado 9 de noviembre, el sistema se degradará a categoría 1, situándose a 380 kilómetros al nor-noroeste de Progreso, Yucatán.
El 11 de noviembre, se prevé que Rafael continúe debilitándose y descienda a tormenta tropical, alcanzando una ubicación a 455 kilómetros al noroeste de Celestún, Yucatán, alejándose cada vez más de las costas mexicanas.
